普通にダイビングたまにウミウシ
最近は普通にダイビングしてますがたまにウミウシが入ります
通常のポイントを回ってなかったので何がいるかわからな~い・・・・















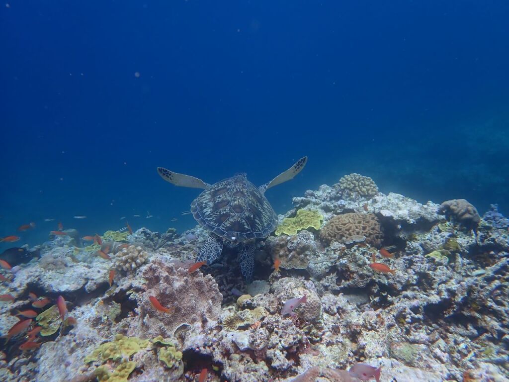
1ダイブでアオウミガメ6匹見たりマンタが居たらしいし
アメリカアカエイが居たりすごく目立つところにハダカハオコゼがいたり
なんやかんやと初夏の様相になってますね~~
しばらく普通のダイビングが続きます
最近は普通にダイビングしてますがたまにウミウシが入ります
通常のポイントを回ってなかったので何がいるかわからな~い・・・・















1ダイブでアオウミガメ6匹見たりマンタが居たらしいし
アメリカアカエイが居たりすごく目立つところにハダカハオコゼがいたり
なんやかんやと初夏の様相になってますね~~
しばらく普通のダイビングが続きます